Are Pavement Ants Dangerous?
The Surprising Truth About Pavement Ant Infestations
Learn if pavement ants are dangerous, the risks they pose to your home, and how Adams Pest Control can help eliminate infestations fast.
There are a few species of ants found living in our area, and besides the question of “How do I get rid of these ants from my house”; we are often asked the question, “Are these ants dangerous?” The answer to that question is that it really depends on the species of ant that has invaded your property!
There are 3 species of ant that are very common in our area. The first species to note is the carpenter ant. This species is dangerous to property but does not pose a threat to you or your pets. The second most common ant species that you will encounter is the pharaoh ant. These ants are considered to be very dangerous because they have the ability to spread dangerous diseases and bacteria to people. The third most common species of ant found in our area is the pavement ant. The good news with these ants is that they are not considered to be dangerous, but the bad news is that they are a huge nuisance to invade any home or property!
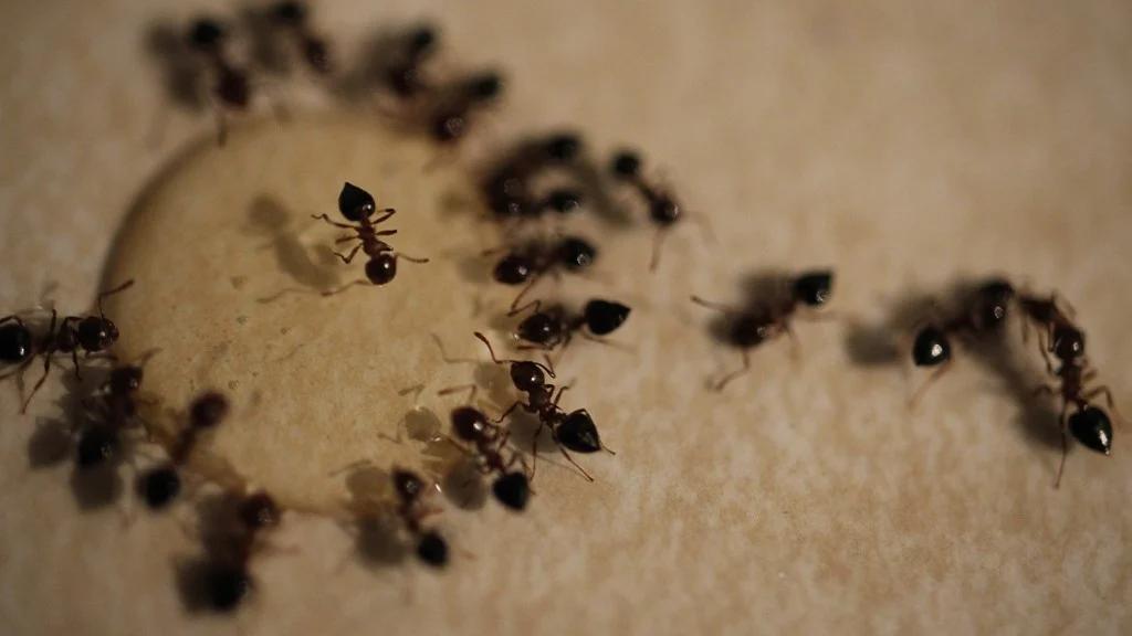
Pavement ants,
Pavement ants, like any other pest, are attracted to properties that offer safe, warm shelter and is located close to food and water sources. They like to make their nests in the cracks of paved driveways, under and along concrete foundations, and along sidewalks. They aren’t too picky when it comes to what they eat! Pavement ants feed on a wide variety of sweets, fruits, grease, and dead insects. Properties that have compost piles, gardens, and garbage cans without lids are very attractive to pavement ants.
Once the pavement ants are living on your property, it will be no time before they find their way inside your home while foraging for food. Pavement ants can invade homes in very large numbers through cracks in the foundation and exterior walls of your home. Once they are inside and they see all that your home has to offer (food and shelter), they will most likely decide to stay until they are forced out. Inside homes and other buildings, pavement ants can be found nesting behind walls in the insulation, under floors, in crawl spaces, and/or in ground-level masonry walls.
The combination of entering homes in very large numbers, having multiple nesting areas, and nesting in very hard to reach areas make pavement ants a very difficult pest to eliminate without the help of a trained professional. At Adam’s Pest Control, we are very experienced when it comes to evicting ants from a property and have developed specific treatments to effectively eliminate specific species of ants. Our pest management professionals can eliminate and control ants on your property and in your home through Adam’s 2X Ant Treatment. Our ant treatment includes the application of a non-repellent material around the perimeter of your home to provide an exterior barrier against ants; we can also provide interior treatments as needed. Our pest management professionals perform these treatments twice a year in the spring and fall to ensure year-round control against these nuisance pests.
For more information about Adam’s 2X Ant Treatment or our year-round Home Pest Prevention service plans, give us a call today. We are always happy to provide the services needed to make sure your home and property becomes free of ants and ensure that it stays that way.

Should You Worry About Pavement Ants?
Pavement ants may look harmless, but they can contaminate food and invade kitchens. Adams Pest Control eliminates infestations fast and prevents them from coming back.